... е включено Глобални новини и анализи Експертно мнениеFT Приложение за Android и iOSFT Редактиране: Достъп до iOS и webFirstFT: най-големите истории за деня20+ курирани бюлетина
Катастрофалната - Новини
Биткойн е на път да отбележи първата си годишна загуба
...... че това решение, заедно с представянето на пазара на изкуствен интелект, ще бъдат решаващи фактори, които ще повлияят на цените на криптовалутите през следващите месеци.
Министърът на отбраната Пийт Хегсет беше изправен пред подигравка поради
...... води. Вашингтон пост съобщи че Хегсет е издал команда да се „убият всички“, след като двама души са били забелязани да се вкопчват в лодката.
Високият изпълнителен директор на Cracker Barrel във вторник каза че
...... консултантската фирма Prophet – всичко това е част от план за ребрандиране на стойност 700 милиона долара, насочен към привличане на по-млади посетители. Разгледайте повече
Временният лидер на Бангладеш Мухамед Юнус каза пред Общото събрание
...... от западния щат на Мианмар, където боевете ескалират между силите на Хунта и армията на Аракан, етническа милиция, извлечена до голяма степен от будисткото мнозинство.
кариерата на NFL на Джейк Муди все още не е
...... NFL 2023, като удари 84 процента от ритниците си по време на сезона на новобранците, преди да се бори със 70,6 процента клип миналата година.
Президентът на САЩ Доналд Тръмп осъзнава каква катастрофална роля изиграха САЩ в
...... в Съединените американски щати, така и извън тях. Това не е нито добро, нито лошо. Това е даденост, това е факт, явление“, посочи Мария Захарова.Следвайте "Гласове" в и
телевизионната водеща Джеръми Кларксън даде представа за селскостопанския живот и
...... и носи на общи проблеми, изправени пред британски фермери. Лондон срещу правителството за въвеждане на данък върху наследството на земеделските земи през ноември 2024 г.
Израел за населението на Газа от началото на март Тогава
...... трябва да вземе решение “, каза той. г -н Тръмп също повтаря твърденията, без доказателства, че Хамас краде храна, влизаща в Газа и я продава.
Докладът се казва Смекчаването подходящи за тежестта на въпроса бяха
...... за прекъсване на новини на смартфон или таблет чрез. Можете също така да се абонирате за нашите, за да сме в крак с последните новини.
това е редактиран препис от епизод на The Ezra Klein
...... това или в някоя от нашите статии. Ето някои. И ето нашия имейл :. Следвайте секцията за мнение на New York Times на , и.
Ново публикувани кадри от бодикамера разкриха повече подробности в понеделник
...... този доклад.Андерс Хагстрьом е репортер във Fox News Digital, отразяващ националната политика и важни извънредни новинарски събития. Изпращайте съвети на [email protected] или в Twitter: @Hagstrom_Anders.
Изпадналият в битка президент Байдън е готов да организира пресконференция
...... говорене, докато се подготвя да се изправи срещу тълпа от репортери. Неговата издръжливост и ефективност също ще бъдат под микроскоп както никога досега. Разгледайте повече
Приемен баща изправен пред изгонване заради данък спалня посегна на
...... Г-жа Mutch добави: „Според мен трябва да се предприемат действия за предотвратяване на бъдещи смъртни случаи и вярвам, че имате властта да предприемете такива действия.“
Екипите на пожарната парамедици на Уинипег бяха на мястото на
...... .„Има няколко домове, които няма да бъдат обитаеми в края на това, и ние ще работим с тези жители за всички необходими услуги за поддръжка.“
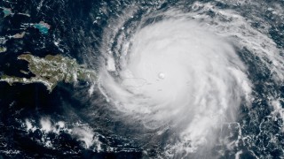
Ураганът Берил се засили в понеделник до потенциално катастрофална буря
...... в големи урагани за по-малко от 24 часа. "Изключително опасен" ураган връхлита Карибите Бурята Берил е най-ранно регистрираният ураган от категория 4 в Атлантическия океан
Всяка втора сграда в Нова Загора е без прозорци а
...... също е разрушен. Затова в понеделник, когато децата се върнат в клас, последният етаж ще остане затворен. Трябва ли да се увеличи годишният отпуск на учителите?
Microsoft спря разпространението на Windows 11 24H2 в канала Insider
...... Версията на актуализацията за Arm-процесори беше окачествена от потребител в социалните мрежи като „най-катастрофалната тестова компилация на операционната система, която е виждал в практиката си“.
ЙОХАНЕСБУРГ —С ООН казва че до 10 милиона души са
...... вниманието от продължаващия конфликт и влошаващата се хуманитарна ситуация. повече от три десетилетия от Йоханесбург, Южна Африка Той може да бъде проследен в Twitter @paultilsley
Произведено от Шоуто на Езра Клайн Международното право система е създадена
...... от нашите гости тук.(Пълният препис на този епизод ще бъде наличен в рамките на 24 часа след публикуването в аудиоплейъра по-горе.), , , и .
Доналд Тръмп каза че жените ще го мразят ако твърденията
...... да мълчи, след подробния брифинг на Тръмп за ситуацията. „Това, което правех, беше под ръководството и в полза на г-н Тръмп“, каза Коен под клетва.
Джордан Хендерсън може да напусне Аякс това лято като се
...... и реклами от нас и нашите партньори. Ако не харесвате нашата общност, можете да проверите по всяко време, ако сте любопитни, можете да прочетете нашите
Твърди се че Меган Маркъл е станала за смях сред
...... Игрите Invictus, където ще изнесе реч в катедралата Сейнт Пол по време на благодарствена служба. Следвайте Mirror Celebs на , , , , и .
Шеридан Смит поздрави феновете на вратата на сцената на своя
...... изключителния Шеридан Смит, който имаше смелостта да играе толкова сложна роля в Уест Енд. Опитвам се да бъда безстрашен и искрен във всичко, което правя.
FRANCE 24 разговаря с Абдала Хамдок който беше министър председател на
...... проведоха необявени преговори в Бахрейн. Бившият премиер нарече това „стъпка в правилната посока, привличайки повече участници в процеса“. Щракнете върху видеоплейъра, за да гледате цялото интервю.
Джеръми Кларксън разказа за опустошителна смърт в известната си ферма
...... на Котсуолд. Той е водил разговори за това, но не е стигнал до етапа на планиране все още е много рано." Следвайте Mirror Celebs на,и.
Без драстична промяна в политиката която подкрепя появата на силни
...... вярваме, че всички гледни точки имат значение. Свържете се с нас на [email protected], за да изпратите предложения или заявки и да станете част от разговора.РЕКЛАМА
Стотици стоманодобивни работници и поддръжници излязоха на улицата в знак
...... Steel.Това рекордно ниво на подкрепа показва колко много правителството на Обединеното кралство цени уелската стоманодобивна индустрия и хора и общности, чийто поминък зависи от това."
Световните лидери засилват натиска върху Израел да се откаже от
...... ранили 68 291 от 7 октомври, според Министерството на здравеопазването в Газа. Броят на загиналите в Израел от водените от Хамас атаки възлиза на 1139.
Възрастен човек с лоша памет който не успя да си
...... ще продължи своя на трагикомичен римейк на приказката „Новите дрехи на царя“, като заложи бъдещето на света на един „възрастен човек с лоша памет“? Инфо: БНР
Коментар на Владислав Апостолов в предаването 39 Политически НЕкоректно 39 Възрастен човек с
...... ще продължи своя на трагикомичен римейк на приказката „Новите дрехи на царя“, като заложи бъдещето на света на един „възрастен човек с лоша памет“?Инфо: БНР
След години на спокойствие Питър Кей е на огромна обиколка
...... години. „Ние идваме тук през цялото време. Винаги, когато има училищна ваканция, наистина. Пропускаме Коледа, защото къщата замръзва. Необходими са векове, за да се загрее.“
Дилън Мълвейни на 81 вите награди Златен глобус проведени в хотел
...... позира гола във външна баня, носеща само червена шапка.Други снимки я показват в пухкава розова рокля и други показни зимни тоалети заедно с нейните приятели.
2023 г отбеляза 100 годишнината на Disney от създаването на филмова магия Това
...... през март 2024 г., сега е планиран за март 2025 г. ) след интензивна обратна реакция може би е лоша поличба за Къщата на мишката.
Ако 75 победи и 87 загуби не бяха достатъчни за
...... пари чрез данък лукс, присъединявайки се към Падрес, Янкис, Доджърс, Филис, Блу Джейс, Брейвс и Рейнджърс, според АП. Общо тези организации дължат 108,98 милиона долара.
На 8 ноември 1923 г Адолф Хитлер и нацистката партия
...... радикализира нацията. Само десет години след неуспешния пуч Хитлер бил назначен за канцлер на Германия и щял да поведе нацията към Втората световна война.По темата
Изображение Полетът беше един от първите няколко извън Газа организиран
...... бъдещето си. Те напускат Газа, без да знаят дали някога ще се върнат - и ако се върнат, точно към какво точно ще се върнат.
УНИЦЕФ казва че децата в Ивицата Газа са изправени пред
...... достатъчно запаси от вода, които не споделят с населението. ООН: Жителите на Газа разграбват складовете за помощи Гражданският ред в анклава започва да се разпада
Внесохме вот на недоверие срещу правителството защото политиката му в
...... протестите на енерегитиците и миньорите и въпросът е защо няма повече - работата на политиците е да бъдат при тези, които представляват, каза още Костадинов.
Внесохме вот на недоверие срещу правителството защото политиката му в
...... и миньорите и въпросът е защо няма повече - работата на политиците е да бъдат при тези, които представляват, каза още Костадинов.Вижте разговора във видеото
Железопътните договори на Avanti West Coast и CrossCountry са подновени – въпреки „катастрофалната“ 2022 г. за Avanti
...... майка на CrossCountry е немската фирма Deutsche Bahn.И двата влакови оператора бяха засегнати, откакто синдикатите на железопътните работници започнаха стачни действия през юни 2022 г.
Феновете на Славия разположени в Сектор А на стадион Александър
...... за варненци - дело на Алекс Фернандес, фен на столичния тим опита да нахлуе на терена и сам да поиска обяснение от играчите и щаба.
Тази седмица започна с новината за загубен сигнал на туристическата
...... на около 13 000 фута под водата. Открит е през 1985 г. и остава източник на очарование и примамка за морските експерти и подводните туристи.
Тази седмица започна с новината за загубен сигнал на туристическата
...... на около 13 000 фута под водата. Открит е през 1985 г. и остава източник на очарование и примамка за морските експерти и подводните туристи.
Според официални лица подводните микрофони предназначени за откриване на вражески
...... и известен водолаз Пол-Анри Наржоле. Петият член на екипа е главният изпълнителен директор и основател на OceanGate Стоктън Ръш, бивш инвестиционен банкер с аерокосмическо образование.
Системата за автопилот на Tesla е причинила множество катастрофи Оказва
...... значение е Tesla и другите компании в сектора на автономното шофиране да се справят с проблемите на безопасността и да гарантират отговорно използване на технологиите.
Тази нощ в 00 15 часа на булевард Сливница и кръстовището
...... са извършени тестове за алкохол и наркотици, съответно са отрицателни. Шофьорът е задържат в 3-то РПУ.Това заяви Борислав Михайлов, инспектор в Пътна полиция СДВР.Очаквайте подробности!/БГНЕС
Днес най сериозните и деликатни мисии на Америка се изпълняват от
...... Освен това армията създава 160-ти авиационен полк за специални операции, за да не се повтарят проблемите с хеликоптерите, които измъчваха операцията в Иран.













































