... което им позволява да си позволят необходимите материали. Челси Торес се присъедини към Fox News през 2023 г. като мултимедиен репортер със седалище в Шарлот.
Посрещне Урагана - Новини
Жителите на южния американски щат Флорида с усещане за безпомощност
...... планирано да участва във възпоменателна церемония за началото на Втората световна война. Вместо Тръмп в Полша ще отиде вицепрезидентът Майк Пенс. Полезна ли ви беш
Жителите на южния американски щат Флорида с усещане за безпомощност
...... в Полша, където бе планирано да участва във възпоменателна церемония за началото на Втората световна война. Вместо Тръмп в Полша ще отиде вицепрезидентът Майк Пенс.
Мексико се готви да посрещне урагана Майкъл Властите са готови
...... учебни занятия. Населението е призовано да се готви за урагана.Армията обяви, че е готова да окаже помощ на населението, живеещо в района на Канкун./ news.bg
Мексико се готви да посрещне урагана Майкъл Властите са готови
...... е призовано да се готви за урагана. Армията обяви, че е готова да окаже помощ на населението, живеещо в района на Канкун.
Великобритания и Ирландия се подготвят за появата на Офелия
...... – причиниха катастрофални щети в Карибите и в Мексиканския залив. Според метеоролозите, „Офелия“ е най-мощният ураган, регистриран досега на изток в Атлантическия океан, съобщи БНТ.
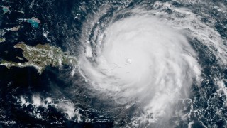
Ураганът Ирма един от на мощните в Западния Атлантик от
...... обяви и губернаторът на съседен щат - Южна Каролина. Той призова жителите да се подготвят, в случай че Ирма се насочи натам, което е вероятно.







