... води.Въпреки лошото време, празникът ще събере семействата на трапезата с традиционната риба, а прогнозите сочат, че след преминаването на циклона времето постепенно ще се подобри.
Връхлита България - Новини
Температурите падат а валежите обхващат цялата страна до неделяНова валежна
...... значителни количества.Синоптиците предупреждават и за предстоящо застудяване. Подобрение на времето, свързано с повече слънчеви часове и повишение на температурите, се очаква едва след 10 декември.
Студен фронт и валежи от дъжд започват настъпление от западните
...... ще се усети силата на южния вятър, като термометрите ще показват между 17 и 20 градуса. Вълнението на морето ще се усили до 2-4 бала.
Тази есен и зима Балканите се оказват на първа линия
...... няма да е постоянна и равна. Тя ще бъде импулсна, рязка и силна — точно както я носи студът от Сибир, прогнозират от Meteo Balkans.
Валежите ще са сравнително кратки но в хода на застудяването
...... прогнозират възможност за краткотраен снеговалеж и в по-ниската част на страната, най-вече в Предбалкана и Лудогорието, но това предстои да се потвърди в следващите дни.
Валежите ще са сравнително кратки но в хода на застудяването
...... прогнозират възможност за краткотраен снеговалеж и в по-ниската част на страната, най-вече в Предбалкана и Лудогорието, но това предстои да се потвърди в следващите дни.
Валежната зона която в момента се намира над района на
...... Очаква се и усилване на вятъра, причинено от преминаващ студен атмосферен фронт. С червено сме нанесли приблизително къде ще се намира валежната зона, уточняват експертите.
Температурите през уикенда ще достигнат до 22 градусаВремето в България
...... към 17-18 ноември. Ако тази прогнозирана циркулация се запази, сутрините ще са с условия за мъгли и слани, докато дневните температури ще са в диапазона 10-15 градуса.
НИМХ обяви жълт код за силен вятър в 17 области
...... е хладно, минималните температури ще са от 5°-6° на места в котловините до 16°-17° по Черноморието. Максималните температури ще са предимно между 22° и 27°.
Новата седмица ще започне с дъжд и хладно време Във
...... над западната част на страната ще намалее до слънчево. Температурите отново ще тръгнат надолу, което ще направи почивните дни по-подходящи за разходки, отколкото за плаж.
Нов студен атмосферен фронт ще оказва влияние върху времето над
...... България температурите ще бъдат между 15 и 22 °C. Доста по-топло – до 24–25 °C – ще бъде на места в Горнотракийската низина, прогнозира meteobalkans.com.
Нещо страховито връхлита България Синоптиците от Meteo Balkans предупреждават за
...... Нещо страховито връхлита България! Синоптиците от Meteo Balkans предупреждават за мощни гръмотевични бури, причинени от преминаването на студен атмосферен фронт.
Климатологът Симеон Матев предупреди че през страната преминава студен атмосферен
...... седмицата обаче ще донесе нова гореща вълна – на места живакът ще скочи до 33–38 градуса. „Вероятно ще изпратим месец август с високи температури“, обобщи Матев.
Днес се очакват гръмотевични бури поради преминаването на студен атмосферен
...... и рискът от материални щети. Очакваните валежи ще са между 50-80л/кв.м. Явления: Средна и едра по размер градушка, силен вятър и обилни краткотрайни валежи. Средно около– 50-80л/кв.м
Симеон Матев прогнозира температури до 38 градуса през следващата седмицаБългария
...... температури", заключи Симеон Матев.Прогнозата показва, че след краткото захлаждане през уикенда, България отново ще се изправи пред горещо време, характерно за края на летния сезон.
Десетки хора сигнализираха в социалните мрежи за летящи хлебарки Те
...... Той обаче добави, че тези насекоми са опасни за здравето на хората и домашните любимци. Те пренасят вируси и бактерии, които водят до стомашно-чревни разстройства.
Горещата вълна от Северна Африка обхвана цяла Турция Очаква се
...... райони ще надвишат 45°C. Особено рискови са вътрешността на Егейския регион и Югоизточна Анатолия – градове като Газиантеп, Шанлъурфа, Маниса, Айдън и части от Измир.
Метеоролозите предупреждават за екваториални нощи и втори връх на горещата
...... и сухата растителност.Настоящата гореща вълна продължава да създава предизвикателства за цялата страна, като новите прогнози показват, че облекчението ще дойде чак след края на уикенда.
Дъжд и гръмотевици над Източна България през нощта През нощта облачността
...... главно в петък. Вятърът ще отслабне, сутрините ще са прохладни, а дневните температури ще тръгнат нагоре. В събота се очакват максимални стойности между 28° и 33°.
След адската жега която скова страната от сряда се задава
...... Balkans. Вижте какъв температурен контраст се очаква: В единия край на България ще бъде 38–40 градуса по Целзий, а в другия – едва 18–22 градуса.
След адската жега която скова страната от сряда се задава
...... от Meteo Balkans.Вижте какъв температурен контраст се очаква:В единия край на България ще бъде 38–40 градуса по Целзий, а в другия – едва 18–22 градуса.
Жълт код остава в сила заради опасни за здравето температуриБлизо
...... вятъра, краткотрайни валежи с гръмотевици и условия за градушки. Това ще сложи край на горещата вълна и ще понижи температурите с 8-10 градуса през уикенда.
Очакват се цветни валежи над България Над България се задава едно
...... следи по автомобилите, прозорците и всякакви повърхности на открито. Цветът на капките може да варира от жълто до кафяво в зависимост от концентрацията на праха.
Средиземноморски циклон носи проливни дъждове в края на мартПоследната седмица
...... под 5 градуса. През първите почивни дни се очаква повишение на следобедните температури до 18-23 градуса, но ще продължат да се развиват и пролетни валежи.
Инфлацията в България вече съответства на изискването за ценова стабилност
...... в еврозоната, тегленето от банкомат ще бъде само в евроОще новини четете в: България, Темите на деняЗа още актуални новини: Последвайте ни в Google News
Сериозен обрат във времето предстои през следващите няколко дни Оказва
...... на температурата. Започва нова голяма промяна с времето! Източник: Meteo Bulgaria Още новини четете в: България За още актуални новини: Последвайте ни в Google News
В понеделник ще бъде предимно слънчево В сутрешните часове на
...... разкъсва. Ще духа умерен и временно силен северозападен вятър. Преобладаващите максимални температури ще бъдат между 3° и 8°, а минималните - между 0° и 5°.
Студен фронт носи сняг и дъжд в цялата странаДинамично време
...... в петък, но още в събота нови студени въздушни маси ще донесат снеговалежи. Според синоптика Петър Янков, най-много сняг към момента има в района на Алеко.
Студен фронт носи бури в Източна България този петък
...... страна ще са в широк интервал, като над Западна и Централна България ще са между 22-23°С. Доста по-топло до 28-30°С на места в Югоизточна България.
Съвсем скоро ще почувстваме че есента идва Прогноза за 13 септември
...... Сутринта ще е доста хладно с минимални температури между 5° и 8°, а дневните ще се повишат и максималните ще са между 15° и 20°С.
Буря от Трета степен връхлита България в следващите два дни
...... облачността ще се разкъса и ще намалее. Източник – Meteo Bulgaria Още новини четете в: България, Темите на деня За още актуални новини: Последвайте ни в Google News
След лощата прогноза за времето на Националния институ по метрология
...... а количествата ще са между 50 и 80 л/кв.м., в Родопите (най-вече в пограничните райони на Смолянско и Кърджалийско) около и дори над 100 л/кв.м.
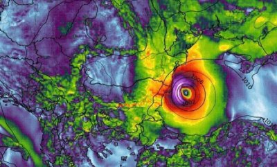
Ето как Черноморския циклон връхлита половин България Нашумелият в последните месеци
...... са наводнения по Южното Черноморие и в Югоизточна България, вижте във видеото: Още новини четете в: Живот За още актуални новини: Последвайте ни в Google News
Метеоролози предупредиха че на 29 и август четвъртък страховит циклон ще
...... ще се стабилизира и температурите ще се повишат. Очакват се нетипични за края на месеца максимални температури, и дори на места ще надминат 25-29°С .
Впървата седмица на септември жегите ще бъдат заменени от серия
...... ще се стабилизира и температурите ще се повишат. Очакват се нетипични за края на месеца максимални температури, и дори на места ще надминат 25-29°С .
Поради очакваните високи температури е издадено и предупреждение за високи
...... Над планинските райони от Динарските планини ще превали и прегърми. Валежи и гръмотевици се очакват и над Сърбия и Западна Румъния. Прогноза: Имре Дузмат, MeteoBalkans
Започнаха да се образуват и първите гръмотевични бури над Южна
...... се разразят бури, които ще бъдат гарнирани с градушка и гръмотевици. По-късно днес се очакват и над Монтанаска, Врачанска и дори над Видинска област.
Предупреждение за бурен вятър за 27 март сряда Картата която виждате
...... - бъдете внимателни за възможни по-големи щети като структурни повреди по сгради, изкоренени дървета, счупени клони и летящи предмети. Възможни са и проблеми в електроснабдяването.
В следващите 48 часа от югозапад над Балканите ще се
...... от сняг. Ще духа силен и бурен юг-югозападен вятър. Максималната температура на височина 1200 метра ще бъде около 8°, на 2000 метра - около 2°.
В следващите 48 часа от югозапад над Балканите ще се
...... от сняг. Ще духа силен и бурен юг-югозападен вятър. Максималната температура на височина 1200 метра ще бъде около 8°, на 2000 метра – около 2°.
През предстоящата седмица времето над нашата страна ще е по често
...... са несигурни в по-дългосрочен 7-дневен план и е възможно да претърпят изменения, затова следете и ежедневните прогнози на Meteo Balkans за най-навременните актуализации, призовават синоптиците.
През почивните дни ще усетим първия полъх на зимата В
...... циклон”, обясни в ефира на "Събуди се” синоптикът Петър Янков. От АПИ предупредиха шофьорите да тръгват на път само с автомобили, подготвени за зимни условия.
През следващите 48 часа времето Източна България ще се определя
...... излизате навън! Бъдете подготвени за очаквани материални щети, като те могат да бъдат и изкоренени дървета и летящи предмети. Възможно е и затваряне на пътища.
През нощта преобладаваше ясно и почти тихо време Минималните температури
...... но до края на деня и вятърът ще отслабне. Очаква се студено време с минимални температури между 0° и 5° и максимални - между 4° и 9°.
По последни данни очакваме усложнена синоптична обстановка на 4 ти ноември
...... точна първична прогноза. Въпреки, че е рано да се посочи кои райони вероятно ще бъдат най-силно засегнати. Много зависи точно къде ще премине самият циклон", уточняват синоптиците.
За вторник – 26 септември синоптиците обявиха предупреждение от първа
...... на вятъра може да достигне 80-90 км/ч.За Черноморието има предупреждение за силно морско вълнение от 4 бала. Това са вълни с височина около 2,5 метра.
В следващите дни средиземноморски циклон ще причини стихийни бури на
...... бъдещи стихийни бедствия. Сътрудничеството между различните страни в региона е от жизненоважно значение за обмен на знания, ресурси и опит в борбата срещу тези природни заплахи.
Предупреждение от най висока степен код червено е обявено за
...... в интервала 39-41 градуса, предаде "Нова".По Черноморието (Бургас, Варна и Добрич), както и в София, София - област и Перник е в сила жълт код.
Силна геормагнитна буря ще връхлети България в четвъртък вечерта и
...... AR3296. През следващите часове е възможно да има смущения в комуникациите и навигационните системи и дори проблеми с интернет връзката в Европа, Канада и Аляска.
Астрономите предупреждават за очаквана силна геомагнитна буря която ще ни
...... няколко часа навън, но и не прекалявайте с разходките.Не е препоръчителна консумацията на тежка храна, както и продължително застояване в затворени помещения без чист въздух.





















)



























