ВНИМАНИЕ! Страховит циклон връхлита България!
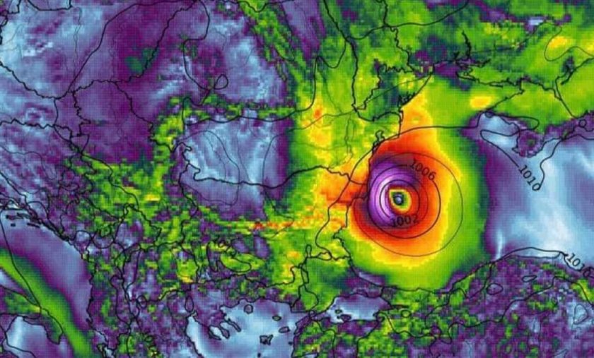
Метеоролози предизвестиха, че на 29-и август, четвъртък, застрашителен циклон ще връхлети България. Той ще се заформи в Черно море, като се чакат огромни количества дъжд и мощни ветрове.
В първата седмица на септември жегите ще бъдат сменени от серия от атмосфери разстройства. " Метео Балканс " предизвестява, че по Южното Черноморие са вероятни наводнения.
Температурите едва ще се намалят. Смяна на циркулацията се чака към 5 септември.
Тогава ще има нов транспорт на по-топла и гореща въздушна маса и температурите за малко ще се покачат и ще са с летни стойности - и ще са 30-35°C. След късото стопляне от единствено 3-4 дни, световните модели предвиждат нови студени нахлувания към 8-11 септември, оповестява " Метео Балканс ".
На базата на актуалните данни, температурите ще са под нормата, а месечната сума на преваляванията ще са към и над нормата. Най-високата температура през месеца ще доближи до 34-35 градуса, а най-ниската ще бъде към 5-6 градуса.
В западната половина на страната месечната сума на преваляванията ще се задържи към и над климатичната норма, която за равнините е сред 35 и 60 л/кв.м., а за планинските региони – сред 50 и 80 л/кв.м. В Източна България ще е сред 40-50 л/кв.м. Добрите вести тук са, че превалявания ще има, което ще смекчи засушаването.
Астрономическата есен през 2024 година настава на 22 септември в 15:43 часа и свършва на 21 декември в 11:20 часа.
През първото десетдневие се чака температурите да са с 3-5 градуса над климатичната норма, само че с наклонност да бъде към нормата до края на първото десетдневие. Максималните температури в страната ще са сред 28-35°С, а минималните ще са сред 13-17, като по-ниски ще са във високите равнинни полета в Западна България – до 10-12°С.
По-високи ще са температурите по Черноморието - до 18-19 °С, а оптималните - от над 25-28°С. Към края на първото десетдневие през страната ще премине и леден фронт и температурите ще се намалят с 5-8 градуса и ще са под 30 °С.
Месецът ще стартира с превалявания - основно в западните и централни елементи от страната. На места те ще са съпроводени от гръмотевици, като не са изключени и градушки.
Дъждове и гръмотевици чакаме основно над планинските региони, само че към края на десетдневката те ще отслабват по активност, само че явленията ще обзет и Източна България. Температурите ще се намалят и на доста места ще са под 30°С.
Именно към 8-10 септември се чака и нов транспорт на по-хладна въздушна маса.
В първите дни от второто десетдневие времето ще е най-вече слънчево, а следобедите – с раздрана висока облачност. Температурите ще стартират да се покачват и на доста места ще са сред 25 - 27°С. Към 14-и 15-и от югозапад ще проникне малко топъл въздух, дневните температури ще се покачат и ще са сред 25-29 °С.
След краткотрайното стопляне, до края на второто десетдневие градусите ще се намалят и ще са под 25°С. Времето ще се дефинира от серия от преминаващи атмосферни разстройства, като вероятността и от циклони ще се покачва.
Според данните на климатичните модели, вероятността от формиране на средиземноморски циклони е доста по-голяма през третото десетдневие. В първите дни от интервала ще бъде облачно и дъждовно.
Причината за неприятното време е предстоящ циклон, ситуиран над Западните и Южни Балкани. Очакваме и трайно намаляване на температурите към края на интервала. Възможни са и първите превалявания от сняг над 1800-2000 метра. Повечето модели загатват за честа промяна на динамичността и чести циклони.
Към края на третото десетдневие на септември въздушната маса ще се стабилизира и температурите ще се покачат. Очакват се нетипични за края на месеца оптимални температури, и даже тук-там ще надминат 25-29°С.
В първата седмица на септември жегите ще бъдат сменени от серия от атмосфери разстройства. " Метео Балканс " предизвестява, че по Южното Черноморие са вероятни наводнения.
Температурите едва ще се намалят. Смяна на циркулацията се чака към 5 септември.
Тогава ще има нов транспорт на по-топла и гореща въздушна маса и температурите за малко ще се покачат и ще са с летни стойности - и ще са 30-35°C. След късото стопляне от единствено 3-4 дни, световните модели предвиждат нови студени нахлувания към 8-11 септември, оповестява " Метео Балканс ".
На базата на актуалните данни, температурите ще са под нормата, а месечната сума на преваляванията ще са към и над нормата. Най-високата температура през месеца ще доближи до 34-35 градуса, а най-ниската ще бъде към 5-6 градуса.
В западната половина на страната месечната сума на преваляванията ще се задържи към и над климатичната норма, която за равнините е сред 35 и 60 л/кв.м., а за планинските региони – сред 50 и 80 л/кв.м. В Източна България ще е сред 40-50 л/кв.м. Добрите вести тук са, че превалявания ще има, което ще смекчи засушаването.
Астрономическата есен през 2024 година настава на 22 септември в 15:43 часа и свършва на 21 декември в 11:20 часа.
През първото десетдневие се чака температурите да са с 3-5 градуса над климатичната норма, само че с наклонност да бъде към нормата до края на първото десетдневие. Максималните температури в страната ще са сред 28-35°С, а минималните ще са сред 13-17, като по-ниски ще са във високите равнинни полета в Западна България – до 10-12°С.
По-високи ще са температурите по Черноморието - до 18-19 °С, а оптималните - от над 25-28°С. Към края на първото десетдневие през страната ще премине и леден фронт и температурите ще се намалят с 5-8 градуса и ще са под 30 °С.
Месецът ще стартира с превалявания - основно в западните и централни елементи от страната. На места те ще са съпроводени от гръмотевици, като не са изключени и градушки.
Дъждове и гръмотевици чакаме основно над планинските региони, само че към края на десетдневката те ще отслабват по активност, само че явленията ще обзет и Източна България. Температурите ще се намалят и на доста места ще са под 30°С.
Именно към 8-10 септември се чака и нов транспорт на по-хладна въздушна маса.
В първите дни от второто десетдневие времето ще е най-вече слънчево, а следобедите – с раздрана висока облачност. Температурите ще стартират да се покачват и на доста места ще са сред 25 - 27°С. Към 14-и 15-и от югозапад ще проникне малко топъл въздух, дневните температури ще се покачат и ще са сред 25-29 °С.
След краткотрайното стопляне, до края на второто десетдневие градусите ще се намалят и ще са под 25°С. Времето ще се дефинира от серия от преминаващи атмосферни разстройства, като вероятността и от циклони ще се покачва.
Според данните на климатичните модели, вероятността от формиране на средиземноморски циклони е доста по-голяма през третото десетдневие. В първите дни от интервала ще бъде облачно и дъждовно.
Причината за неприятното време е предстоящ циклон, ситуиран над Западните и Южни Балкани. Очакваме и трайно намаляване на температурите към края на интервала. Възможни са и първите превалявания от сняг над 1800-2000 метра. Повечето модели загатват за честа промяна на динамичността и чести циклони.
Към края на третото десетдневие на септември въздушната маса ще се стабилизира и температурите ще се покачат. Очакват се нетипични за края на месеца оптимални температури, и даже тук-там ще надминат 25-29°С.
Източник: lupa.bg
КОМЕНТАРИ




