... засегнатите места.90% от сградите са повредени. Дори тези, които са запазили покривите си, са пълни с кал. Всички в града са се заели с почистването.
Ураганът Мелиса - Новини
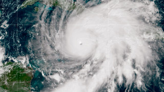
Стихията класифицирана като ураган от пета категория – най високата възможна
...... по-интензивни и с по-силни валежи. Американската Национална океанска и атмосферна администрация (NOAA) още преди началото на сезона прогнозира по-висока от нормалната активност на атлантическите урагани.
Ураганът Мелиса опустоши Ямайка причинявайки сериозни щети на рибарските и
...... се върне към нормалното, където животът ще продължи както преди“, каза Дейвис. „Всички събират парчетата.“___Авторът на Associated Press Андреа Родригес допринесе за репортажи от Хавана.
Актуализациите изпратени от приятели и съседи в WhatsApp потвърдиха това
...... се върне към нормалното, където животът ще продължи както преди“, каза Дейвис. „Всички събират парчетата.“___Авторът на Associated Press Андреа Родригес допринесе за репортажи от Хавана.
Ураганът 39 Мелиса 39 отне живота на 46 души в Карибите съобщи
...... Националния център за ураганите на САЩ, ''Мелиса'' е преминал през Бахамите и се движи по-дълбоко в Атлантика. Сега е отслабнал до сила на посттропичен циклон.
Ураганът Мелиса отне живота на 46 души в Карибите съобщи
...... Националния център за ураганите на САЩ, ``Мелиса`` е преминал през Бахамите и се движи по-дълбоко в Атлантика. Сега е отслабнал до сила на посттропичен циклон.
Ураганът Мелиса отне живота на 46 души в Карибите съобщи
...... Националния център за ураганите на САЩ, ``Мелиса`` е преминал през Бахамите и се движи по-дълбоко в Атлантика. Сега е отслабнал до сила на посттропичен циклон.
Ураганът Мелиса отне живота на 46 души в Карибите съобщи
...... на Националния център за ураганите на САЩ, ``Мелиса`` е преминал през Бахамите и се движи по-дълбоко в Атлантика. Сега е отслабнал до сила на посттропичен циклон.
Ураганът Мелиса е отнел живота на 46 души в Карибите
...... Националния център за ураганите на САЩ, Мелиса е преминал през Бахамите и се движи по-дълбоко в Атлантическия океан, като вече е отслабнал до посттропичен циклон.
Поривистите ветрове и дъждът връхлетяха части от Морските острови тази
...... периодът на силен дъжд да продължи между три до шест часа.Също така вълните могат да достигнат до седем метра височина по югозападното крайбрежие на полуострова.
Потвърденият брой на жертвите на урагана Мелиса се покачи до
...... евакуирали 735 000 души в приюти извън конуса на урагана и преместиха туристите в северните острови в хотели във вътрешността на страната.Още в WorldMore videos
ЧЕРНА РЕКА Ямайка АП — Пътят от столицата на Ямайка
...... от 295 км/ч във вторник. Той изравни рекордите за сила на атлантическите урагани, достигащи сушата, както по скорост на вятъра, така и по барометрично налягане.
Най малко 34 души загинаха след като ураганът Мелиса опустоши Карибите
...... първите смъртни случаи, за да инспектира последиците от бурята.Над 25 000 души бяха настанени в убежища в сряда, като 77% от острова остана без електроенергия.
Броят на жертвите на урагана Мелиса достигна 44 души след
...... и Източна Куба, където около 735 000 души бяха евакуирани, но до четвъртък не бяха регистрирани смъртни случаи, въпреки големите поражения по къщите и насажденията.
49 души е потвърденият брой на жертвите от преминаването на
...... бурята да премине острова на относително безопасно разстояние. Властите обявиха, че ще затворят пътищата в четвъртък вечерта и ще спрат училищата и фериботите в петък.
49 души е потвърденият брой на жертвите от преминаването на
...... очакваше бурята да премине острова на относително безопасно разстояние. Властите обявиха, че ще затворят пътищата в четвъртък вечерта и ще спрат училищата и фериботите в петък.
Отава обяви 7 милиона долара хуманитарна помощ за карибските държави
...... институции, като Световната банка и Международния валутен фонд, така че карибските страни да могат да плащат за устойчива на климата инфраструктура.Повече за Канада Още видеоклипове
Ураганът Мелиса връхлетя Северните Кариби с разрушителна сила оставяйки след
...... продължи десетилетие. Метеоролозите отбелязват, че "Мелиса" е третият най-интензивен ураган, регистриран някога в Карибския басейн, и един от най-бавно придвижващите се, което го прави особено разрушителен.
Най малко 34 души загинаха след като ураганът Мелиса опустоши Карибите
...... смъртни случаи, за да инспектира последиците от бурята. Над 25 000 души бяха настанени в убежища в сряда, като 77% от острова остана без електроенергия.
Опустошителните въздействия на урагана Мелиса продължават да се усещат след рекордната
...... вече беше обвинявана за три смъртни случая в Ямайка, три в Хаити и една в Доминиканската република.— с файлове от Асошиейтед пресОще в WorldMore видеоклипове
Ураганът Мелиса връхлетя Северните Кариби с разрушителна сила оставяйки след
...... чрез финансова помощ и облекчаване на дълговете. Ураганите, тайфуните и циклоните – стават ли по-чести и по-разрушителни? От къде черпят силата си тези природни стихии?
Ураганът Мелиса унищожи райони на Карибите които вече са уязвими
...... AP е единствено отговорен за цялото съдържание. Намерете стандартите на AP за работа с филантропи, списък с поддръжници и финансирани зони на покритие на AP.org.
Мелиса удари Ямайка във вторник с ветрове от 185 мили
...... тропически циклон, който е удрял Ямайка от близо два века насам – още едно предупреждение, че глобалното затопляне увеличава честотата и силата на съвременните бури.
Най малко 34 души загинаха след като ураганът Мелиса опустоши Карибите
...... първите смъртни случаи, за да инспектира последиците от бурята.Над 25 000 души бяха настанени в убежища в сряда, като 77% от острова остана без електроенергия.
Ураганът Мелиса премина през Карибите оставяйки след себе си десетки
...... да достигне сушата на Северна Америка, но ще се превърне в силен екстратропичен циклон, когато в петък вечерта се приближи до Сейнт Джонс, Нюфаундленд, Канада.
Вижте всички теми Връзката е копирана Следвайте Ураганът Мелиса остави
...... в центъра на кадъра. Отломките изглеждат като голям облак от мръсна вода, наблюдаван отвъд плитчините край Монтего Бей. Вижте всички теми Връзката е копирана! Следвайте
Ураганът Мелиса се втурва на североизток към Бахамските острови след
...... острова в четвъртък. Националният център за ураганите на САЩ прогнозира, че бурята ще отслабне до извънтропичен циклон до късно в петък или рано в събота.
Най малко 25 души са загинали в Хаити след като ураганът
...... в източна Куба. Според последните данни на Националния център за урагани на САЩ, публикувани на страницата му в социалните медии X, Мелиса достига сушата на Бахамите.
Вижте всички теми Връзката е копирана Следвайте Ураганът Мелиса донесе
...... Във вече обсадената страна Хаити 25 души загинаха на юг, когато пълноводна река излезе от бреговете си, каза местен кмет в сряда.
Ураганът Мелиса се движи на североизток към Бахамските острови след
...... като се има предвид случилото се“, каза Даути. „Но ако сушата беше на 50 мили по-на изток около Кингстън, можеше да се окаже още по-лошо.“
Няма съобщения за загинали канадци в резултат на урагана Мелиса
...... региона и ние сме в контакт с хуманитарни организации на място, за да разберем по-добре нуждите на засегнатите“, казаха от отдела.Още за Канада Още видеоклипове
Докато подчертава безопасността на семейството си след урагана Мелиса Съри
...... пред Global News. „Тъй като знам какво е да нямаш, дори когато бизнесът ми се бори, заради общността имам това място днес.“Още за BCMore videos
Най малко 25 души загинаха след като река в Хаити преля
...... последните 90 години, съобщава Agence France-Presse, позовавайки се на анализ на метеорологични данни."Мелиса изравни рекорда от 1935 г. за най-мощен ураган, достигнал сушата“, пише агенцията.
Най малко 20 души включително 10 деца са загинали а още
...... заявиха координатори на ООН за страните от региона на Карибско море, включително Ямайка.По предварителни оценки на координаторите в Ямайка са засегнати над 1 милион души.
Най малко 20 души включително 10 деца са загинали а още
...... заявиха координатори на ООН за страните от региона на Карибско море, включително Ямайка. По предварителни оценки на координаторите в Ямайка са засегнати над 1 милион души.
Ураганът Мелиса най силната буря удряла някога Ямайка и най голямата регистрирана
...... като бурята от категория 5 се разнесе в района.Видеото показва автомобили, наполовина потопени в наводнения и останките от срутена инфраструктура до него купчини повредени електропроводи.
Ураганът Мелиса който връхлетя Куба в сряда след като причини
...... отвори отново всички летища на Ямайка още в четвъртък, за да осигури бързо разпределение на доставките за спешна помощ. (С информация от AP, AFP, Ройтерс)
Околна среда Канада издаде специални метеорологични изявления за морските провинции
...... ветровит Хелоуин, но той казва по-голямата част от лошото време няма да дойде от урагана, който се движеше през Куба днес.Още за Канада Още видеоклипове
Най малко десет души загинаха в Хаити при наводнения предизвикани от
...... достигне сушата, че в популярната карибска дестинация за почивка има около 50 000 британски граждани с двойно гражданство и 5000 британски граждани, цитирани от bTV.
Ураганът Мелиса връхлетя сушата на Куба предаде Ройтерс Преди това
...... откъм Барбадос. Доставки по въздуха ще има, когато метеорологичните условия се подобрят. Метеоролози предупреждават, че дъждовете и ветровете ще продължат още няколко дни в Ямайка.
Ураганът Мелиса удари Източна Куба с опустошителни ветрове достигащи 190
...... електричество.Според експерти от AccuWeather, "Мелиса" е третият най-интензивен ураган, преминавал през Карибите - след "Уилма" (2005) и "Гилбърт" (1988), последният голям ураган, който достигна Ямайка.
Урагани с нежни имена за тях чуваме често и
...... final pass through Hurricane Melissa for our crew today. Just after noon entering from the NW corner exiting SE. — Tropical Cowboy of Danger (@FlynonymousWX)
Вижте всички теми Връзката е копирана Следвайте Водата около Ямайка
...... се случва близо до или над населена зона, която е податлива на големи ефекти, последващото опустошение ще бъде влошено, значително по-лошо, от изменението на климата.“
Ураганът Мелиса който удари Ямайка със скорост на вятъра 298
...... климата. Когато бурите преминават над изключително топла вода, те се усилват още повече и достигат нови рекордни нива“, обяснява Бернадет Уудс Плаки от Climate Central.
Ураганът Мелиса връхлетя сушата на Куба предаде Ройтерс Сега бурята
...... регистрирани някога в Атлантическия океан. Червеният кръст предупреди, че въздействието му може да бъде "вероятно безпрецедентно" за островната държава с близо три милиона души население.
Очакват се вълни от 2 4 до 3 6 метра и порои
...... страната. Премиерът Андрю Холнес обяви бедствено положение. До момента е известно за седем жертви на Мелиса - три в Ямайка, три в Хаити и един в Доминиканската република.
Ураганът Мелиса донесе ветрове наводнения и опасни вълни в Куба
...... климата, Алеси каза, че вече е ясно, че изгарянето на изкопаеми горива е направило сегашното затопляне на карибските води над средните температури стотици пъти по-вероятно.
















.jpg?20:18:36)
























