Генка Шикерова: Как Русия се сдоби с имоти за стотици милиони в България?
Руската страна е притежател на десетки декари българска земя и скъпи парцели. Те са с дипломатически статут или претендират за подобен. Това значи, че те на процедура съставляват територия на непозната страна, която е неприкосновена.
Москва има повече парцели в София от Франция, Германия, Съединени американски щати и Китай взети дружно.
Това сочи следствие на " Свободна Европа " с създател Генка Шекерова.
Завладяване, принудително прогонване или подаряване. Така са добити огромна част от парцелите на Русия в България. Най-изгодните за Москва схеми се реализират по времето на комунистическия режим, само че надалеч освен тогава. Всъщност историята с парцелите е на повече от век.
Руската страна е притежател на десетки декари българска земя и скъпи парцели. Те са с дипломатически статут или претендират за подобен. Това значи, че те на процедура съставляват територия на непозната страна, която е неприкосновена.
Москва има повече парцели в София от Франция, Германия, Съединени американски щати и Китай взети дружно.
Как се e случило това?
Ще стигнем и до отговора на този въпрос, само че ще стартираме описа от една топла есенна вечер.
21 септември 2023, по мрачно. Руската държавна агенция ТАСС публикува няколко видео фрагмента от София. В началото се вижда мъж в расо, придружаван от още няколко души, които влизат в църквата " Св. Николай Чудотворец ", известна като съветската черква.
В идващия кадър мъжете излизат, носейки дребни чанти. На фрагментите могат да бъдат разпознати предстоятелят на църквата Васиан (Змеев) и отец Евгений Павелчук.
Няколко часа по-рано те са оповестени от българското контраразузнаване (ДАНС) за опасност за националната сигурност и би трябвало да изоставен страната незабавно.
Зад тях вратата на църквата " Св. Николай Чудотворец " е заключена, а ключът е спретнат в съветското посолство. Никой не можеше да стъпва в храма повече от месец, преди посланичката да го отключи още веднъж. Малкото парче земя в идеалния център на София е съветска територия и на нея командва Москва.
Сградата има статут на черква и казусът е по-сложен, само че разкрива какво може да прави Русия с парцелите си в България. А тези парцели не са малко.
Проверка на Свободна Европа в Агенцията по вписванията и Държавна организация " Архиви " хвърля повече светлина за съветската държавна благосъстоятелност в България и за метода, по който тя е придобивана.
Документите разкриват истории за завземане, принудително прогонване и дарове.
Те се отнасят до един или повече парцели в следните региони:
В Панчарево;В квартал " Изток " ;На " Панорамен път " в столичния квартал " Бояна " ;В столичния квартал " Хиподрума " ;На ул. " Шипка ".Отделна история са добре известните парцели на посолството на Русия и на Руския културен център, както и по-слабо известни парцели, за които има междудържавни контракти:
Административно-жилищен комплекс до посолството;Комплекс от три здания с гаражи близо до посолството.Най-имотното посолство
Много страни имат представителства в България. Част от тях имат лични здания със земя, други употребяват парцели чартърен. Сградите, които се употребяват за посланичество, имат дипломатически статут и имунитет. Виенската конвенция казва, че " пространствата на представителството са неприкосновени ".
Имотите от Русия обаче надалеч не са единствено тези на посолството и представителствата - било то културни или търговски. Открихме земя и здания, за които няма данни да са с дипломатически статут, само че Москва претендира и те да са неприкосновени.
Свободна Европа попита Министерство на външните работи дали всички парцели, благосъстоятелност на съветското посолство, се употребяват за потребностите на дипломатическото посланичество, само че не получи отговор.
От министерството изпратиха лист на съветските парцели, които могат да бъдат тествани и посредством Имотния указател. Освен земята и постройката на църквата " Св. Николай Чудотворец ", Русия има и редица здания и земи, които се намират в скъпи столични квартали.
Комплексът " Камчия " на брега на Черно море не е част от този лист, тъй като официално той е благосъстоятелност на кметството на Москва, а не на централното държавно управление.
Най-популярните съветски парцели в София са постройката на посолството, резиденцията на посланика и Руският културен център. В справката от Агенцията по вписванията излизат и няколко атрактивни парцела, които посолството владее, макар че даже и съгласно съда те не са негови.
Това звучи като абсурд, само че е реалност. Свободна Европа прегледа две правосъдни решения, които демонстрират, че съветската страна не е приета за притежател на някои парцели. Документите обаче разкриват елементи за метода, по който са работили руските и съветските представители в България, с цел да завладеят въпросните парцели.
Различен е казусът с имот с рибарска вила в санитарно-охранителната зона на язовир " Искър ", който съветското посолство е оградило. За този парцел няма никакви документи, само че Русия го владее и употребява от години.
В идващите редове описваме по какъв начин се e случило всичко това.
А на тази карта може да видите къде се намират парцелите.
Поставете мишката върху картата и кликнете върху точките, с цел да видите точните локации на парцелите.
" Във притежание на Руската федерация “
Над 11 хиляди кв. м. в санитарно-охранителната зона на язовир " Искър ", регион " Панчарево ". Два реда ограда и табела:
" Обектът се намира във притежание на Руската федерация ".
Към днешна дата никой не може да каже по какъв начин, по кое време и за какво Москва е заградила парче българска земя на брега на язовира, който доставя София с вода.
Санитарно-охранителната зона към язовира е със засилена защита, част от нея даже е с стеснен достъп. Това се прави, с цел да се подсигурява, че никой няма да токсини водата, която стига до хиляди домове в София. Бреговете на язовир " Искър " обаче са и атрактивно място за вили и хотели. Парцели на първа линия на язовира се оферират на цени от 30-40 евро за квадратен метър, което за парцел от 10 хиляди кв. м. значи 300-400 хиляди евро.
С червен силует са обрисувани парцелът и постройката, които са оградени до брега на язовир " Искър " и има табели, че се владеят от посолството на Русия в България.
Ограденият от Русия парцел се оказва призрак. Той не е записан в българското външно министерство, не съществува в Агенцията по вписванията, не е актуван от страната и за него не се откриват данни в Държавна организация " Архиви ".
Въпреки това е заварден с два реда телена ограда, до неотдавна с две табели, че се владее от съветското посолство, табела, че се намира на бул. " Българо-съветска дружба " и съветското знаме начело.
Какъв е този парцел? Оказва се, че институциите не могат да дадат отговор на този въпрос. Сред хората в региона е прочут като " Руското ".
Ето, какво събрахме като данни. В регионалната администрация на София има два документа, които дават откъслечна информация за този парцел. От тях излиза наяве, че през 2007 година съветското посолство е поискало обстоятелствена инспекция по давностно притежание, с цел да може да актува парцела. На неюридически език това значи, че Русия е поискала да получи документ за благосъстоятелност, единствено тъй като дълго време е владяла парцела, макар че в никакъв случай не го придобивала.
От посолството са се позовали на информация от 50-те години на предишния век, когато, съгласно тях, парцелът е даден за прилагане на " Дружеството на руските жители в България ". След малко ще разкажем повече за връзките на съветските управляващи с това сдружение и какво в действителност е то.
През 2007 година българските управляващи са отказали на съветското посолство да запише парцела край язовир " Искър " като благосъстоятелност на съветската страна. Въпреки това и до през днешния ден той е заварден с табели, че се владее от посолството на Москва в София.
Според регионалната администрация парцелът е благосъстоятелност на българската страна, само че няма изваден акт за държавна благосъстоятелност, тъй като не е проучен. От регионалната администрация споделиха, че ще създадат инспекция, само че това няма да е първата проверка за владението на този парцел. Такава е правена и през 2010 година, а резултатът и до този миг не е прочут.
Няма данни за какви дипломатически потребности се употребява парцелът на брега на язовир " Искър ". По време на визитата на екипа на Свободна Европа на място в него не се виждаха хора, но къщата изглеждаше обитаема. От съветското посолство не дадоха отговор на въпросите на Свободна Европа дали те са оградили парцела и на какво съображение.
Друг парцел в Панчарево обаче хвърля повече светлина за връзките на Русия с " Дружеството на руските жители в Република България ", за което споменахме. А те не наподобява да са били положителни.
" Насилствено изгонени "
Близо 13 хиляди кв. м. покрай езерото Панчарево. Ограда и очевидно запустял парцел.
Имотът в Панчарево наподобява ненаселен от години.
Това също е терен, който съветското посолство владее, само че не има. Това излиза наяве от правосъдно дело за парцела, което Русия губи. За притежател на имота съдът признава " Дружеството на съветските жители в България ". Организацията споделя: " [През 1957] " бяхме принудително изгонени от Посолството на Съюз на съветските социалистически републики в гр. София - през днешния ден Посолството на Руската Федерация в република България ".
Ето по какъв начин се е случило това.
Панчарево е един от скъпите региони на София. Селото е ситуирано по пътя за планинския курорт Боровец. Според уеб страницата за недвижими имоти imot.bg например междинната цена на квадратен метър за имоти в Панчарево е 104 евро, което за съответния имот би означавало повече от 1 млн. евро.
В стари скици се вижда, че парцелът (всъщност парцелите са два, само че са съседни) е описван по друг метод през годините - като „ на руските жители “ и „ на съветското посолство “.
Разликата е основна. Първото е неправителствена организация, второто – съветската страна. Проучването на историята на парцела демонстрира, че думите може би не са употребявани инцидентно.
Дружество на съветските жители " е притежател на два прилежащи парцела, обрисувани с алено. Те вършат усещане на картата, тъй като са доста по-големи от останалите в региона. „ Имотът е доста атрактивен “, сподели за Свободна Европа някогашният кмет на Панчарево Николай Гюров.
Двата прилежащи парцела са добити през 1950 и 1956 година от " Съюза на руските жители ". Единият парцел е платен от манастира " Св. Архангел Михаил ", а другият - от частно лице.
Какво обаче е Съюзът на руските жители?
Организацията сплотява т.нар. Бяла емиграция. Това са съветски емигранти, които идват в България след Октомврийската гражданска война и Гражданската война в Русия при започване на предишния век. Голяма част от тях са опозиционно настроени към руския режим в Съюз на съветските социалистически републики.
След установяването на комунистическата власт в България през 1944 година, която е близка със Съюз на съветските социалистически републики, част от тези съветски емигранти са убити, други изселени, трети изпратени в лагери, четвърти подчинени посредством разнообразни способи на комунистическата и руска власт.
" В началото на 50-те години „ контингентът ” по белоемигрантска линия към този момент е открит ", написа в изданието " Държавна сигурност и Бялата емиграция в Българя (1944-1991) " на Комисията за откриване на архивите на комунистическата Държавна сигурност, известна като Комисията по досиетата. Всички руски жители белоемигранти са проведени в " Съюз на Съветските жители в България “.
В изданието на Комисията по досиетата се споделя, че след 9 септември 1944 г. това е единствената легална организация, в която могат да членуват представителите на съветската емиграция в страната.
Точно тази организация купува при започване на 50-те години парцелите в Панчарево и става техен притежател. Това не е страната Съюз на съветските социалистически републики. Това обаче не пречи на руското посолство малко по-късно физически да завладее парцелите.
След рухването на комунистическия режим в България след 1989 година, Съюзът на руските жители е завещан от " Дружество на съветските жители в България ".
Тогава представители на сдружението завеждат дело против съветското посолство, с цел да върнат парцела си, който те споделят, че им е лишен принудително през 1957 година
Това е част от жалбата до съда, подадена от " Дружеството на съветските жители в България ". От нея излиза наяве, че представителите му неведнъж са правили опити да върнат владението си върху собствеността.
Тази правосъдна борба продължава и в новия век. През 2016 г. Върховният касационен съд признава правото на благосъстоятелност върху парцелите на „ Дружеството на съветските жители “, само че не може да постанови непосредствено връщането им на притежателя. Т.е. съдът споделя, че парцелите са на сдружението на наследниците на белоемигрантите, само че в това време не им оказва помощ да си ги получат.
Причината е, че страната Русия се базира на Виенската спогодба и отбраната на пространства, които съставляват дипломатическо посланичество. Те са „ неприкосновени и управляващите на приемащата страна не могат да влизат в тези пространства без единодушие на шефа на представителството “, написа в решението на съда.
По делото не са показани доказателства за какви потребности се употребяват парцелите, само че претенциите за фактическата власт върху парцела би трябвало да бъдат декларирани посредством българското външно министерство. Т.е. съдът признава, че Русия владее парцелите нелегално, само че не може да я осъди да ги съобщи, поради дипломатическата отбрана, на която се базира Москва.
Решението на съда е дефинитивно и не предстои на обжалване
Свободна Европа не съумя да намери представители на „ Дружеството на съветските жители в България “. От регистрацията му излиза наяве, че членовете на управителния съвет са към 90-годишни.
Според нотариус, с който Свободна Европа беседва, парцелът може да бъде добит по отминалост от лицето, което го владее, в случай че притежателят не си го изиска. Т.е. Русия може да стане притежател на земята по отминалост.
Към момента парцелите в Панчарево наподобяват пустеещи и не е ясно за какви дипломатически потребности се употребяват.
Бившият кмет на регион Панчарево, част от Столичната община, Николай Гюров каза, че има доста сигнали от жители за това, че парцелът не се поддържа.
„ Всичко е обгърнато в мъгла там. Обрасло, неподдържано, самосрутващо се “, сподели Гюров. Той сподели още, че преди време общината е имала преписка с посолството и тогава оттова са изпратили компания, която да почисти рисковите дървета.
Случаят със земята в Панчарево обаче не е единственият, обгърнат в доста незнайни. Руското посолство има парцели и в столичния квартал " Изток ", и в идеалния център на София.
Малка къща с двор в квартал ”Сталин ”
Това е историята на два парцела. Единият е частен и е бил превзет от съветското посолство, само че притежателите му съумяват да си го върнат. Другият е държавен и е даден на посолството за построяването на блок за руските жители с право на прилагане, само че с незнаен период.
Имотите се намират в квартал " Изток ” - един от най-скъпите столични квартали. Той стана известен около абсурда, прочут като „ Апартаментгейт ”. През 2019 година в серия изявления Свободна Европа разкри по какъв начин тогавашният ръководител на парламентарната група на ГЕРБ Цветан Цветанов си е купил мезонет в квартала на по-ниски от пазарните цени. Антикорупционният фонд изнесе данни, че по сходен метод са купили жилища още представители на ръководещата тогава партия ГЕРБ.
Преди 100 години квартал " Изток " не е бил част от София и надалеч не е бил по този начин мечтан и обитаем. В началото на предишния век на мястото на днешните блокове е имало ниви, а местността се е казвала " Къро ".
През 1927 г. собственик на една от нивите с повърхност от 1,4 дка става Р. Ш*. Той я купува и вписва в съответните регистри, а през 1928 година получава позволителен билет за строителство на постройка с повърхност от 68 кв.м. През 50-те години на предишния век фамилията на Р.Ш. напуща България, само че парцелът си остава благосъстоятелност на семейството. За двора и къщата се грижи жена.
След 1944 г. в България стартира да ръководи комунистическата партия, която е близка до държавното управление на тогавашния Съюз на съветските социалистически републики. София също се е разраснала и тогавашната дребна къща с равнища към този момент е част от града. Комунистическата власт прави проекти за квартала и отчуждава парцели. Селската околност " Къро " става столичен квартал " Сталин ". Това е името на генералния секретар на руската комунистическа партия и едноличен началник на тоталитарния режим в Съветския съюз.
Сградата на ул. " Майор Юрий Гагарин " е оградена и наподобява неизползваема.
Няколко години след заминаването на фамилията на Р. Ш. парцелът им стартира да се употребява за помещение на Отечествения фронт – политическа организация под контрола на ръководещата Българска комунистическа партия. След това става музикална школа. Няма данни притежателите на къщата и двора да са давали единодушие те да се употребяват от тези организации. Липсва информация и за отчуждаването на парцела. Тоест частната къща и двор са се употребили без разрешението на притежателя от непознати хора.
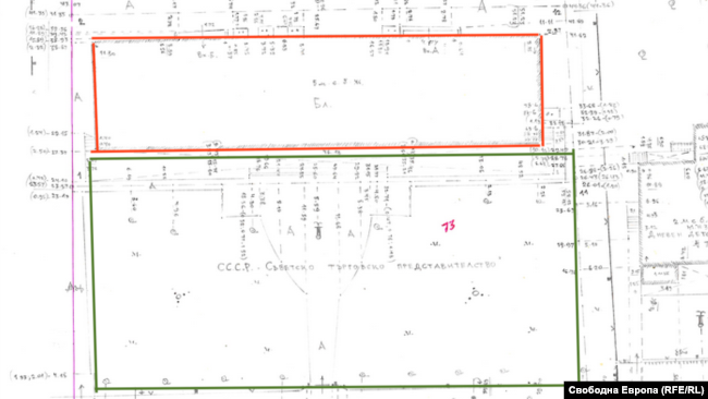
Междувременно в съседство на парцела на Р.Ш. стартира строителство на блок за руски жители, а къщата му стартира да се употребява за преспиване на хора, които идват от Съюз на съветските социалистически републики. За това също не е известно да е взимано единодушието на притежателя. По-късно в къщата остават за нощувки „ командировани посетители на Съветското комерсиално посланичество ”. Всичко това е разказано в дело, което наследниците на Р. Ш. завеждат против съветската страна през 2007 година
През 60-те години българските управляващи дават парцела на Р.Ш., с дребната къща в него, на Търговското посланичество на Съюз на съветските социалистически републики, които към оня миг към този момент го употребяват. Представителите на Съюз на съветските социалистически републики получават и още няколко прилежащи парцела.
Заключението на съда по делото, което завежда Р. Ш., е, че парцелът е бил завзет и се е употребил за клуб на Българската комунистическа партия (БКП) и други публични организации, до момента в който стартира да се употребява от Съветското комерсиално посланичество. Съдът осъжда Руската федерация да съобщи на наследниците на Р. Ш. владението на парцела.
Скица на региона от 1972 година В алено е блокът за жители на Съюз на съветските социалистически републики, който съществува и до през днешния ден. В зеления правоъгълник написа " Съюз на съветските социалистически републики Съветско комерсиално посланичество ". Това е бил парцелът на Р. Ш. Цветните очертания са направени от Свободна Европа и са ориентировъчни.
Свободна Европа намери адвокатката по делото. Тя сподели, че наследниците са съумели да си върнат парцела. Това, което си спомня, е, че в хода на производството призоваването на съветската страна е било мъчно. А техен представител по този начин и в никакъв случай не се е явил на съвещанията. С една дребна детайлност – на всички съвещания, само че без да взе участие, е участвал съветски наблюдаващ.
От Съветското комерсиално посланичество в този момент е останал изоставеният 5-етажен жилищен блок за руските жители. Той се намира в парцел, благосъстоятелност на регион „ Изток “. Но общинската администрация не може да го употребява. Причината е, че през 1961 година той е даден от Министерския съвет с отстъпено право на градеж на Съюз на съветските социалистически републики.
„ Няколко пъти съм питал дали можем да си го върнем, само че към този момент не можем “, сподели за Свободна Европа кметът на района Делян Георгиев.
Един от протоколите, въз основата на който съветското посолство актува постройката
Начинът, по който Русия става притежател на парцели в България се повтаря още няколко пъти. На мястото, където се намира църквата " Св. Николай Чудотворец " (известна като руската), представителите на съветската власт са се самонастанили в края на 19-и век и по-късно са си поискали имота.
По време на ръководството на комунистическата партия в България парцелите са се давали на Съюз на съветските социалистически републики без проблем за облекчаване на потребностите на представителството.
Ето парцелите на съветското посолство, които имат относително по-ясна история на придобиване.
Руската черква
Въпросът със собствеността на Руската черква в София излезе на дневен ред откакто ДАНС екстрадира като съветски сътрудник архимандрит Васиан. Проверка на Свободна Европа в Държавна организация „ Архиви “ сподели, че Софийската община е дарила на Русия земята, върху която е издигната църквата. Преди тя да бъде дарена обаче представители на Русия към този момент са се били настанили в нея, без значение, че е била частна благосъстоятелност.
Информация от два протокола на съвещания на общинския съвет на София от края на 19-и и началото на 20-и век хвърлят светлина по тематиката. От тях излиза наяве, че все още, в който от съветското посолство са си харесали този имот, той е бил благосъстоятелност на човек, представен като доктор Бонев.
Представителите на съветското посолство са се самонастанили, тъй като парцелът е бил в непосредствена непосредственост до дипломатическата им задача. След това са го поискали, с цел да построят черква, а общинските съветници са решили да им го дарят като го отчуждат.
Собствениците на земята явно не са били удовлетворени от този акт. За това свидетелства документ от 1926 година, от който излиза наяве, че наследниците на парцела са водили дело за него и съдът е отсъдил в тяхна изгода. Повече от 40 години след решението за подаяние и отчуждаване общинският съвет на София взима решение да обезщети наследниците.
Сградата на църквата " Св. Николай Чудотворец " в центъра на София.
През 30-те години на предишния век съветската черква е обект на разногласия сред България и (вече) Съюз на съветските социалистически републики, само че до този миг в архива няма намерено доказателство, че собствеността на земята е била променяна след 1898 година, когато е издаден Крепостният акт за благосъстоятелност на съветското посолство.
През 1997 година съветското посолство е извадило нотариален акт за Руската черква и земята под нея, като се базира на Крепостния акт от 1898 година
Културен център, хотел и посолство
Най-известните парцели, благосъстоятелност на съветското посолство, са Руският културен център в идеалния център на София и постройката на дипломатическата задача на бул. „ Драган Цанков “. Те са дадени на Москва с решения на Министерския съвет през 70-те години на предишния век.
Руският културно-информационен център на ул. " Шипка " в столицата
Близо до Руския културен център Русия има и четириетажна жилищна постройка с гаражи, ситуирани на над 3 декара. Любопитна детайлност за този терен е, че в началото руските управляващи е трябвало да си платят за мястото, само че по-късно България се отхвърля от парите. Ето по какъв начин става това.
Сградата в идеалния център на София на ул. " Шипка ".
Решението за даването на този имот е взето през 1957 година от тогавашния Софийски градски национален съвет - еквивалентът на днешния Столичен общински съвет. Според него за потребностите на Чехословашкото посолство, Румънската легация, Съветското посолство, Югославската и Швейцарската легация се дават имоти. Всички тези страни би трябвало да платят избрана сума. За Съветското посолство тя е близо 800 хиляди лева за дворно място, постройка и усъвършенствания.
Част от Протокол 38 от 31 октомври 1957 година на Софийски градски национален съвет.
Месец по-късно е взето ново решение, с което земята, постройката и подобренията се дават безплатно на Съюз на съветските социалистически републики.
Протокол 43 от 28 ноември 1957 на Софийски градски национален съвет, с който се анулира заплащането на парцел от съветска страна.
Русия има и административно-жилищен комплекс, който се намира директно до дипломатическия комплекс на посолството, на ул. „ Никола Мирчев “. Той е издигнат през 80-те години на предишния век с повърхност близо 6 дка.
Част от комплекса на ул. " Никола Мирчев " в кв. " Изток ".
В същия квартал, само че на ул. „ Фредерик Жолио Кюри “, Москва има още една триетажна административна постройка, шестетажна жилищна постройка, четириетажен хотел и подземни гаражи на повърхност от близо 16 дка.
Имотите на " Никола Мирчев " и „ Фредерик Жолио Кюри “ са добити въз основата на междудържавни спогодби през 70-те години.
Имотът на ул. " Фредерик Жолио Кюри ".
На " Панорамен път " в столичния квартал " Бояна " съветското посолство има двуетажна вила с двор малко над декар. От справката, която Свободна Европа получи от външно министерство, се вижда, че съветското посолство има и терен с две издигнати върху него здания в столичния квартал " Хиподрума " на ул. " Урвич “ № 2А.
За съпоставяне България има в Русия дипломатически комплекс, комерсиално посланичество, център на индустрията и културен институт.
Няма информация за какви тъкмо дипломатически потребности се употребяват част от парцелите на Русия в България. Някои от тях наподобяват необитаеми от години. Руското посолство не отговори на въпросите на Свободна Европа, свързани с парцелите, които има в България.
През юни 2022 г. София изгони 70 руски представители на дипломатическата задача от България с претекст, че работят против ползите на страната. В края на 2022 година стана ясно, че в България са останали 21 руски дипломати. След началото на войната Русия разгласи България за неприятелска държава.
Инфо: Свободна Европа




