Най-скъпият спортен център в Пловдив? МУ дава 5,7 млн. лева за 1500 кв.м съоръжение с две зали
Поредният състезателен център ще бъде издигнат в Пловдив, този път за потребностите на Медицинския университет и по-специално живеещите в студентските общежития в регион „ Южен ” на бул. „ Ал. Стамболийски ”.
Прочетете още
Това, което прави усещане обаче е внушителната цена, която ще заплати образователното заведение за спортното оборудване, което има едвам две зали, както и спомагателни пространства. МУ – Пловдив е провел социална поръчка, с която избора компанията „ Бибов и Ко ”, които са предложили 4,73 млн. лв. без Данък добавена стойност или 5,7 млн. лв. с данъка. Сумата е за строителството на залата и главното съоръжение, като общата разгърната застроена повърхност е по-малко от 1500 кв.м.
Възложител на поръчката е ректорът на образователното заведение проф. Ангел Учуков, който е назначил за ръководител на комисията някогашният началник на полицията в Пловдив Йордан Рогачев. Последният бе дисциплинарно уволнен, а по-късно възобновен от съда на работа. Той обаче реши да стане асистент ректор във ВУЗ-а, вместо да се върне в системата на Министерство на вътрешните работи. Самият Рогачев е определил спечелилия в поръчката, като тя се пуска за повторно през последните месеци.
Първата процедура е от месец юни на стойност от 4,4 млн. лв. без Данък добавена стойност. Тя се приключва, защото има аритметична неточност в ценообразуването на поръчката. Месец по-късно се пуска и втората поръчка – този път за 4,75 млн. лв. без Данък добавена стойност, или с 350 хиляди лв. повече.
В нея вземат участие две компании - спечелилият „ Бибов и Ко ” и „ Заводски градежи – ПС – Пазарджик ” ЕАД. Вторите са отстранени още преди да бъдат отворени ценовите предложения. Един от претекстовете за премахване, който е дадена от комисията на Рогачев, е дадена нереалистичен период за осъществяване на дейностите от 180 дни – двойно по-малък от определената компания.
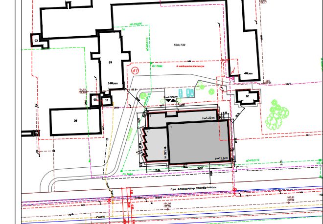
Спортният център
Той ще бъде построен в непосредствена непосредственост до спортните стадиони и медицинските общежития на МУ – Пловдив с лице към бул. „ Ал. Стамболийски ”.
Сградата ще разполага с две спортни зали и нужните обслужващи пространства. Тя е разграничена с фуги на три градивни блока.
Основна мултифункционална зала за баскетбол, волейбол, футбол и други е със стоманена рамкова структура с термопанели с височина 12м и към 430 кв.м. Втората е зала за тенис на маса със сглобяема, стоманена, скелетна структура с отвор 12м, височина 6.5 м, 5 междуосия по 4м (20м).
Отделно има съблекални, санитарни пространства коридори, офиси и други. Общото РЗП на трите блока е 1495 кв.м. В сумата са включени всички съоръжения и осветяване – ВиК, Ел, ОВК и други. По груби сметки строителството на спортната зала ще коства към 3800 лв. на квадратен метър.
Досега върхът в Пловдив се държеше от подготвителните зали в регион „ Западен ” за баскетбол и волейбол, които към момента се строят. За тях Община Пловдив ще заплати към 3000 лв. на квадратен метър на компанията реализатор.
По втората социална поръчка за избор на реализатор за практикуване на строителен надзор за спортния център на МУ, ръководител на комисията отново е Йордан Рогачев. По нея предложения са подали още веднъж две компании – „ Астра Консулт ” ЕООД и „ План Инвест Пловдив ”. Първата е предложила цена на услугата от 39 000 лв. без Данък добавена стойност, а втората – 75 000 лв. без Данък добавена стойност.
В одобрения протокол работната група с председател Рогачев отстранява първата компания, защото има пропуски в документите, а в открития период – тя не ги е показала. Така се предлага да бъде определена ”План Инвест Пловдив ”. Все още се чака формалния документ за избор на реализатор.
Прочетете още
Това, което прави усещане обаче е внушителната цена, която ще заплати образователното заведение за спортното оборудване, което има едвам две зали, както и спомагателни пространства. МУ – Пловдив е провел социална поръчка, с която избора компанията „ Бибов и Ко ”, които са предложили 4,73 млн. лв. без Данък добавена стойност или 5,7 млн. лв. с данъка. Сумата е за строителството на залата и главното съоръжение, като общата разгърната застроена повърхност е по-малко от 1500 кв.м.
Възложител на поръчката е ректорът на образователното заведение проф. Ангел Учуков, който е назначил за ръководител на комисията някогашният началник на полицията в Пловдив Йордан Рогачев. Последният бе дисциплинарно уволнен, а по-късно възобновен от съда на работа. Той обаче реши да стане асистент ректор във ВУЗ-а, вместо да се върне в системата на Министерство на вътрешните работи. Самият Рогачев е определил спечелилия в поръчката, като тя се пуска за повторно през последните месеци.
Първата процедура е от месец юни на стойност от 4,4 млн. лв. без Данък добавена стойност. Тя се приключва, защото има аритметична неточност в ценообразуването на поръчката. Месец по-късно се пуска и втората поръчка – този път за 4,75 млн. лв. без Данък добавена стойност, или с 350 хиляди лв. повече.
В нея вземат участие две компании - спечелилият „ Бибов и Ко ” и „ Заводски градежи – ПС – Пазарджик ” ЕАД. Вторите са отстранени още преди да бъдат отворени ценовите предложения. Един от претекстовете за премахване, който е дадена от комисията на Рогачев, е дадена нереалистичен период за осъществяване на дейностите от 180 дни – двойно по-малък от определената компания.
Спортният център
Той ще бъде построен в непосредствена непосредственост до спортните стадиони и медицинските общежития на МУ – Пловдив с лице към бул. „ Ал. Стамболийски ”.
Сградата ще разполага с две спортни зали и нужните обслужващи пространства. Тя е разграничена с фуги на три градивни блока.
Основна мултифункционална зала за баскетбол, волейбол, футбол и други е със стоманена рамкова структура с термопанели с височина 12м и към 430 кв.м. Втората е зала за тенис на маса със сглобяема, стоманена, скелетна структура с отвор 12м, височина 6.5 м, 5 междуосия по 4м (20м).
Отделно има съблекални, санитарни пространства коридори, офиси и други. Общото РЗП на трите блока е 1495 кв.м. В сумата са включени всички съоръжения и осветяване – ВиК, Ел, ОВК и други. По груби сметки строителството на спортната зала ще коства към 3800 лв. на квадратен метър.
Досега върхът в Пловдив се държеше от подготвителните зали в регион „ Западен ” за баскетбол и волейбол, които към момента се строят. За тях Община Пловдив ще заплати към 3000 лв. на квадратен метър на компанията реализатор.
По втората социална поръчка за избор на реализатор за практикуване на строителен надзор за спортния център на МУ, ръководител на комисията отново е Йордан Рогачев. По нея предложения са подали още веднъж две компании – „ Астра Консулт ” ЕООД и „ План Инвест Пловдив ”. Първата е предложила цена на услугата от 39 000 лв. без Данък добавена стойност, а втората – 75 000 лв. без Данък добавена стойност.
В одобрения протокол работната група с председател Рогачев отстранява първата компания, защото има пропуски в документите, а в открития период – тя не ги е показала. Така се предлага да бъде определена ”План Инвест Пловдив ”. Все още се чака формалния документ за избор на реализатор.
Източник: trafficnews.bg
КОМЕНТАРИ




