Строят 50 къщи върху 54 дка в бивш стопански двор на Прослав
Жилищен комплекс с 50 къщи ще бъде построен в един от някогашните икономически дворове на Прослав. Инвестиционното желание за строителството на комплекса върху 54 дка към този момент е импортиран в Регионална инспекция за опазване на околната среда и Община Пловдив, откакто притежателите на парцела смениха предназначението му.
Прочетете още
Огромният имот се намира в северната страна на квартала и е с лице на ул. „ Просвета ”. В предишното там е имало оранжерии и селскостопански постройки Имотът е бил добит от компанията „ Домо Девелопмент ” със притежатели Христо Томов и Младен Дойков.
През декември 2022 година Общинският съвет гледа и изменението на ПУП-а на парцела, като от земеделска земя е бил заменен за жилищно строителството. Според новия Общ усройствен проект там е зона Ж1. Максималната височина на постройките може да е до 7 метра, а плътността на застрояване до 60% и 40% озеленяване, а кинт до 1,2. Това значи, че притежателите на парцела могат да построят до 65 000 РЗП.
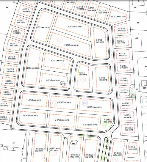
Проектът е за 50 къщи, като парцелите в него се разграничени в няколко размери, като ще има еднофамилни и многофамилни жилищни здания.
Прочетете още
Огромният имот се намира в северната страна на квартала и е с лице на ул. „ Просвета ”. В предишното там е имало оранжерии и селскостопански постройки Имотът е бил добит от компанията „ Домо Девелопмент ” със притежатели Христо Томов и Младен Дойков.
През декември 2022 година Общинският съвет гледа и изменението на ПУП-а на парцела, като от земеделска земя е бил заменен за жилищно строителството. Според новия Общ усройствен проект там е зона Ж1. Максималната височина на постройките може да е до 7 метра, а плътността на застрояване до 60% и 40% озеленяване, а кинт до 1,2. Това значи, че притежателите на парцела могат да построят до 65 000 РЗП.
Проектът е за 50 къщи, като парцелите в него се разграничени в няколко размери, като ще има еднофамилни и многофамилни жилищни здания.
Източник: trafficnews.bg
КОМЕНТАРИ




